|
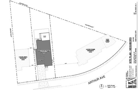
Incredible opportunity to own the last of the large parcels of property in Park Ridge. This well maintained home is situated on a 191x55x165x50 lot. This home is being sold with plans and a permit (in process for approval from Park RIDGE) to build on the property. Call for renderings, plans and details. Will also build for buyer. The exsisting home has hardwood floors thru-out, well maintained and updated with a huge patio and screened porch overlooking the expansive back yard. Close to schools and transportation. Don't wait to own your own oasis or build your dream home.
| DAYS ON MARKET | 243 | LAST UPDATED | 4/7/2025 |
|---|---|---|---|
| YEAR BUILT | 1952 | COMMUNITY | Park Ridge |
| GARAGE SPACES | 1.0 | COUNTY | Cook |
| STATUS | Active | PROPERTY TYPE(S) | Single Family |
| School District | Maine South High School |
|---|---|
| Elementary School | Theodore Roosevelt Elementary Sc |
| Jr. High School | Lincoln Middle School |
| High School | Maine South High School |
| ADDITIONAL DETAILS | |
| AIR | Central Air |
|---|---|
| AIR CONDITIONING | Yes |
| AREA | Park Ridge |
| BASEMENT | Finished, Full, Yes |
| CONSTRUCTION | Brick |
| FIREPLACE | Yes |
| GARAGE | Yes |
| HEAT | Forced Air, Natural Gas |
| LOT | 8899 sq ft |
| LOT DIMENSIONS | 191X55X165X50 |
| PARKING | Concrete, Garage Door Opener, On Site, Attached, Garage |
| SEWER | Public Sewer |
| TAXES | 7257.63 |
MORTGAGE CALCULATOR
TOTAL MONTHLY PAYMENT
0
P
I
*Estimate only
| SATELLITE VIEW |
| / | |
We respect your online privacy and will never spam you. By submitting this form with your telephone number
you are consenting for Humderto
Garcia to contact you even if your name is on a Federal or State
"Do not call List".
Listed with RE/MAX Properties Northwest
The data relating to real estate for sale on this web site comes in part from the Broker ReciprocitySM Program of MRED. All real estate listings are marked with the Broker ReciprocitySM logo or the MRED Broker ReciprocitySM thumbnail logo (a little black house) and detailed information about them includes the name of the listing brokers.
The broker providing these data believes them to be correct, but advises interested parties to confirm them before relying on them in a purchase decision.
Copyright 2025 MRED. All rights reserved.

The broker providing these data believes them to be correct, but advises interested parties to confirm them before relying on them in a purchase decision.
Copyright 2025 MRED. All rights reserved.
This IDX solution is (c) Diverse Solutions 2025.