|
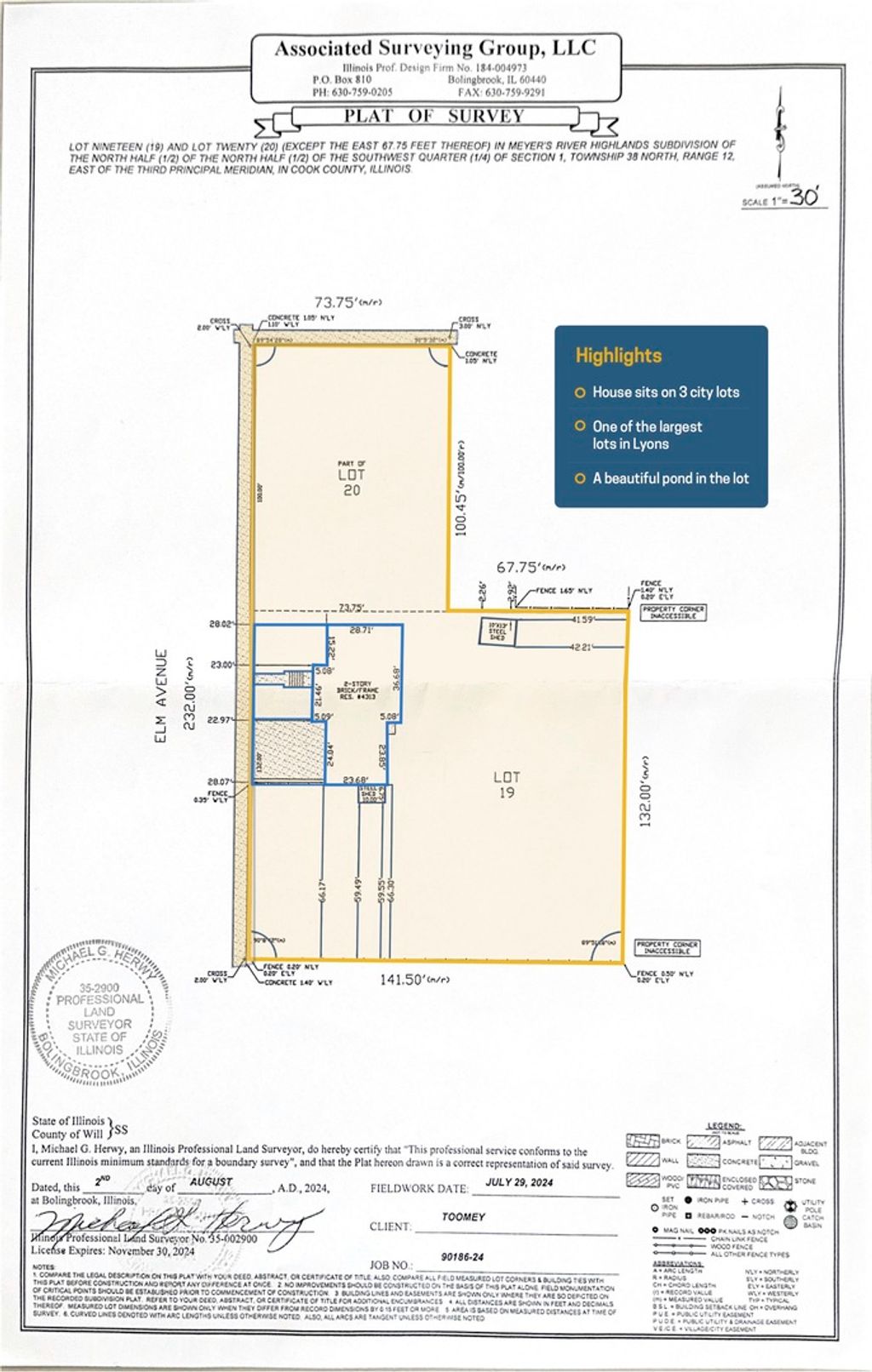
Beautifully renovated 4-bed, 2-bath home on one of the largest lots in Lyons! Spanning over a half acre. Enjoy a brand new kitchen with stainless steel appliances, new cabinets, countertops, and pantry. Both bathrooms have been fully updated. New LED lighting, modern hardware, new A/C, furnace, water heater, and electrical service. Spacious second-floor bedroom includes a walk-in closet. Full open basement offers additional storage and includes a new stainless steel refrigerator. Exterior features a huge relaxing backyard, storage shed, small fishpond, and a 2.5-car garage. New sidewalk installation (11 slabs) already paid for and coming soon. Conveniently located near the highway only 15 minutes to downtown Chicago. Note: Property taxes do Not reflect Homeowner's Exemption
| DAYS ON MARKET | 42 | LAST UPDATED | 3/1/2026 |
|---|---|---|---|
| YEAR BUILT | 1955 | COMMUNITY | Lyons |
| GARAGE SPACES | 2.5 | COUNTY | Cook |
| STATUS | Conditional | PROPERTY TYPE(S) | Single Family |
| ADDITIONAL DETAILS | |
| AIR | Central Air |
|---|---|
| AIR CONDITIONING | Yes |
| APPLIANCES | Dishwasher, Dryer, Microwave, Range, Refrigerator, Stainless Steel Appliance(s), Washer |
| AREA | Lyons |
| BASEMENT | Full, Unfinished, Yes |
| CONSTRUCTION | Brick |
| GARAGE | Attached Garage, Yes |
| HEAT | Forced Air, Natural Gas |
| INTERIOR | Entrance Foyer, Pantry |
| LOT | 0.59 acre(s) |
| LOT DESCRIPTION | Corner Lot |
| LOT DIMENSIONS | 141X131 |
| PARKING | Concrete, Garage Door Opener, Attached, Garage |
| SEWER | Public Sewer |
| STYLE | Cape Cod |
| TAXES | 13524 |
| WATER | Public |
MORTGAGE CALCULATOR
TOTAL MONTHLY PAYMENT
0
P
I
*Estimate only
| SATELLITE VIEW |
| / | |
We respect your online privacy and will never spam you. By submitting this form with your telephone number
you are consenting for Humderto
Garcia to contact you even if your name is on a Federal or State
"Do not call List".
Listed with Insight Real Estate Advisors, LLC
The data relating to real estate for sale on this web site comes in part from the Broker ReciprocitySM Program of MRED. All real estate listings are marked with the Broker ReciprocitySM logo or the MRED Broker ReciprocitySM thumbnail logo (a little black house) and detailed information about them includes the name of the listing brokers.
The broker providing these data believes them to be correct, but advises interested parties to confirm them before relying on them in a purchase decision.
Copyright 2026 MRED. All rights reserved.

The broker providing these data believes them to be correct, but advises interested parties to confirm them before relying on them in a purchase decision.
Copyright 2026 MRED. All rights reserved.
This IDX solution is (c) Diverse Solutions 2026.